Nieruchomość - Niwy

Nieruchomość - Niwy
Nieruchomość - Niwy
Nieruchomość - Niwy
Nieruchomość - Niwy
Nieruchomość - Niwy
Rynek
Wtórny
Rodzaj
Działki budowlane
Powierzchnia
3185.00 m2
Opis
Oferta do internetu:
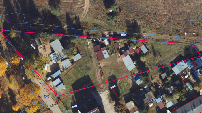
Syndyk sprzeda udział 2/12 części w prawie własności działki ewidencyjnej nr 36/3 o powierzchni 0,3185ha, położonej w obrębie Niwy, Gminie Osielsko, powiecie bydgoskim


Treść ogłoszenia:

Syndyk masy upadłości Zakładów Mięsnych w Bydgoszczy „BYD-MEAT” SA w likwidacji w upadłości zaprasza do składania ofert na zakup udziału wynoszącego 2/12 części w prawie własności działki ew. nr 36/3, o pow. 0,3185ha, przeznaczonej zgodnie z miejscowym planem zagospodarowania przestrzennego pod usługi i mieszkalnictwo (11 U/MN), położonej w obrębie 0009 Niwy, gm. Osielsko, powiecie bydgoskim, dla której Sąd Rejonowy w Bydgoszczy prowadzi księgę wieczystą o nr BY1B/00030943/8

za cenę nie niższą niż 25% wartości oszacowania tj. 21.233,25 zł netto (dwadzieścia jeden tysięcy dwieście trzydzieści trzy złote 25/100).


Warunkiem uczestnictwa w pisemnym konkursie ofert jest wpłata wadium w terminie do dnia 30 kwietnia 2026 r. w wysokości 10% ceny wywoławczej tj. kwoty 2.123,33 zł (dwa tysiące sto dwadzieścia trzy złote 33/100) na rachunek bankowy masy upadłości:
BYD-MEAT SA W LIKWIDACJI W UPADŁOŚCI
96 1020 1462 0000 7902 0452 8857
tytułem: „Wadium konkurs ofert NIWY- udział 2/12 w działce ew. 36/3, imię i nazwisko/nazwa oferenta”

Sprzedaż prowadzona jest na podstawie regulaminu sprzedaży.
Regulamin sprzedaży, informacje o nieruchomości oraz operat szacunkowy można uzyskać wysyłając zapytanie na adres: syndyk@kujawa.bydgoszcz.pl lub pod nr telefonu: 790-202-830 lub 515-280-850.

Termin składania ofert: 30 kwietnia 2026 r. do godziny 15:00 osobiście lub listem poleconym na adres: Kancelaria Syndyka Katarzyna Kujawa, ul. Chodkiewicza 17, 85-065 Bydgoszcz.
Uwaga! Decyduje data i godzina wpływu do Kancelarii Syndyka.

Otwarcie i rozpoznanie ofert nastąpi na posiedzeniu jawnym dnia 5 maja 2026 r. o godzinie 11:30 w Kancelarii Notarialnej Szymona Pollaka w Bydgoszczy przy ul. Chodkiewicza 15.

Zapraszam do składania ofert!
Numer
138510
Dodano
1 miesiąc temu
Wyświetleń
37
Typ ogłoszenia
Prywatne

Ogłoszenie

Oferter od 2 lat
Wszelkie prawa zastrzeżone © 2026 OFERTER
created by NSF.pl